Dominikanische Republik: Erin wird zu einem „katastrophalen“ Hurrikan der Kategorie 5
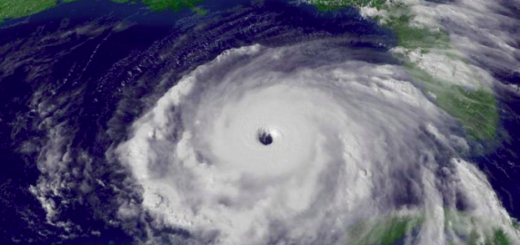
Kategorie 5 ist die höchste Stufe auf der Saffir-Simpson-Skala. Die maximalen Windgeschwindigkeiten erreichen 255 Kilometer pro Stunde. Der Hurrikan Erin hat sich am Samstag rasch zu einem „katastrophalen“ Hurrikan der Kategorie 5, der höchsten...
Weiterlesen ... 
										 
																			 
																			 
																			 
																			 
																			 
																			 
																			 
																			 
																			 
																			



